
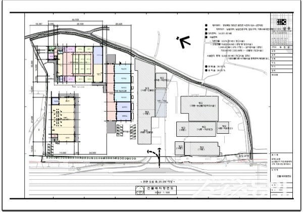
동청도농협이 현 조합장 소유의 토지를 일부 수용해 추진하고 있는 농기계 보관창고 신축사업 도면 . 사진제공 ㅣ 동청도농협
조합장 부부 소유 토지에 신축사업, 매입 시점부터 위법성 의혹 제기
경북 동청도농협이 추진 중인 농기계 보관창고 신축사업이 조합장의 사적 이해관계와 얽혀 있다는 의혹이 제기되면서 지역사회에 논란이 일고 있다. 특히 이번 사안은 공공기관의 사적 이해 충돌을 금지한 「공직자의 이해충돌 방지법」 위반 소지가 있다는 지적이 나오고 있어, 향후 관련 기관의 조사가 불가피할 전망이다.2025년 동청도농협은 ‘농작업 대행지원사업’의 일환으로 지상 1층에 건축면적 193.60㎡ 규모의 농기계 보관창고 신축 공사를 추진하며 긴급 입찰공고를 공고 제1호로 게시했다. 문제는 이 사업 부지에 포함된 1,500평이 넘는 토지가 현직 조합장인 최희군 씨와 그 부인 소유로 되어 있다는 점이다.
해당 토지는 2015년부터 2017년 사이, 동청도농협의 대출을 통해 매입된 것으로 파악됐다. 특히 이 가운데 두 필지(약 461평)는 최 조합장의 부인 명의로 2016년과 2017년에 매입되었으며, 1필지는 국유 하천 부지(21평)를 캠코로부터 불하받은 것으로 드러났다. 당시 최 씨는 조합장직에 재임 중이었다.
동청도농협 측은 “2021년 총회와 2022년 7월 이사회를 거쳐 공모를 통해 사업이 진행 중이며, 정당한 절차를 밟았다”고 해명했다. 그러나 토지 매입 당시 이미 인근 지역에 농산물 창고 등 기반 시설 건축이 논의되고 있었던 것으로 알려져, 사전에 개발 정보를 이용한 특혜 매입이 아니었느냐는 의혹이 커지고 있다.
이에 대해 최 조합장은 “포도밭을 조성하기 위해 토지를 매입했다”고 밝혔으나, 위성사진 분석 결과 포도 재배 흔적이 없다는 지적이 나오자 “콩밭으로 활용했다”고 말을 바꿨다. 이어 “소를 키우기 위한 사료용 경작지로 쓸 목적이었다”고 해명했지만, 이를 납득하기 어렵다는 반응도 적지 않다.
조합장의 해명이 오락가락하면서 조합 내에서도 반대 의견이 제기된 것으로 알려졌다. 한 대의원은 “당시 다수의 이사들이 문제 제기를 했지만, 조합장이 선진지 견학 프로그램이라는 명분을 내세워 분위기를 무마했다”고 밝혔다.
한편, 동청도농협 관계자는 “조합이 과거 적자 운영을 이어오다 부실채권을 정리하고 우수농협으로 선정된 이후에 이번 사업을 추진한 것”이라며 사업 추진의 정당성을 강조했다.
그러나 전문가들은 만약 조합장의 개인 토지를 농협 사업지로 활용하는 과정에서 사적 이익을 취했다면, 이는 형법상 업무상 배임죄가 적용될 수 있다고 지적한다. 또한 조합장 개인이 농협 대출을 통해 직접 토지를 매입한 점과 사업 진행의 연관성, 내부 의사결정 과정의 투명성 등에 대한 면밀한 조사가 필요하다는 목소리가 높아지고 있다.
최희군 조합장은 지난 2008년 동청도농협 조합장으로 당선돼 2016년까지 재임했으며, 2016년 낙선 이후 2019년 재당선되어 현재까지 조합장을 맡고 있다. 공공기관과 유관 조직에서의 이해충돌 방지가 더욱 중요해지는 시점에서, 이번 사안이 단순한 의혹으로 끝날지 아니면 법적 책임으로까지 이어질지 귀추가 주목된다.
청도 ㅣ심현보 스포츠동아 기자 localdk@donga.com
심현보 기자
Copyright © 스포츠동아. All rights reserved. 무단 전재, 재배포 및 AI학습 이용 금지
공유하기












![조진웅, 은퇴 선언…“질책 겸허히 수용, 배우 마침표” [전문]](https://dimg.donga.com/a/232/174/95/1/wps/SPORTS/IMAGE/2025/12/06/132913653.1.jpg)








![‘불법 의료 시술 의혹’ 박나래, 오늘(6일) ‘놀토’ 정상 방송 [공식]](https://dimg.donga.com/a/232/174/95/1/wps/SPORTS/IMAGE/2025/12/06/132913424.1.jpg)

![올데프 애니, 끈 하나로 겨우 버텨…과감+세련 패션 [DA★]](https://dimg.donga.com/a/232/174/95/1/wps/SPORTS/IMAGE/2025/12/04/132899350.1.jpg)


![조진웅 은퇴…“배우의 길 마침표” 불명예 퇴장 [종합]](https://dimg.donga.com/a/232/174/95/1/wps/SPORTS/IMAGE/2025/12/06/132913708.1.jpg)
![블랙핑크 리사, 뭘 입은 거야…파격 노출 착시 [DA★]](https://dimg.donga.com/a/232/174/95/1/wps/SPORTS/IMAGE/2025/12/05/132906328.1.jpg)


![방탄소년단 정국-에스파 윈터 열애설, 커플 타투에 커플 네일?! (종합)[DA:이슈]](https://dimg.donga.com/a/72/72/95/1/wps/SPORTS/IMAGE/2025/12/05/132907619.1.jpg)

![조진웅, 소년범 전과 의혹에 “확인 후 입장 밝힐 것” [공식입장]](https://dimg.donga.com/a/72/72/95/1/wps/SPORTS/IMAGE/2025/12/05/132907713.1.jpg)


![유승옥, 확실한 애플힙+핫바디…베이글美 여전 [DA★]](https://dimg.donga.com/a/140/140/95/1/wps/SPORTS/IMAGE/2025/12/05/132909885.1.jpg)
![맹승지, 끈 끊어질까 걱정…넥타이 위치 아찔해 [DA★]](https://dimg.donga.com/a/140/140/95/1/wps/SPORTS/IMAGE/2025/12/05/132908504.1.jpg)























![김남주 초호화 대저택 민낯 “쥐·바퀴벌레와 함께 살아” [종합]](https://dimg.donga.com/a/110/73/95/1/wps/SPORTS/IMAGE/2025/05/27/131690415.1.jpg)
![이정진 “사기 등 10억↑ 날려…건대 근처 전세 살아” (신랑수업)[TV종합]](https://dimg.donga.com/a/110/73/95/1/wps/SPORTS/IMAGE/2025/05/22/131661618.1.jpg)


댓글 0