■자율주행도로·탄천 하천지도 정밀화 등 미래 모빌리티 혁신도시 기반 마련
■국비 11억원, 시비 11억원 등 총 22억원 투입되며, 내년 2월부터 11월까지 사업 진행
■국비 11억원, 시비 11억원 등 총 22억원 투입되며, 내년 2월부터 11월까지 사업 진행

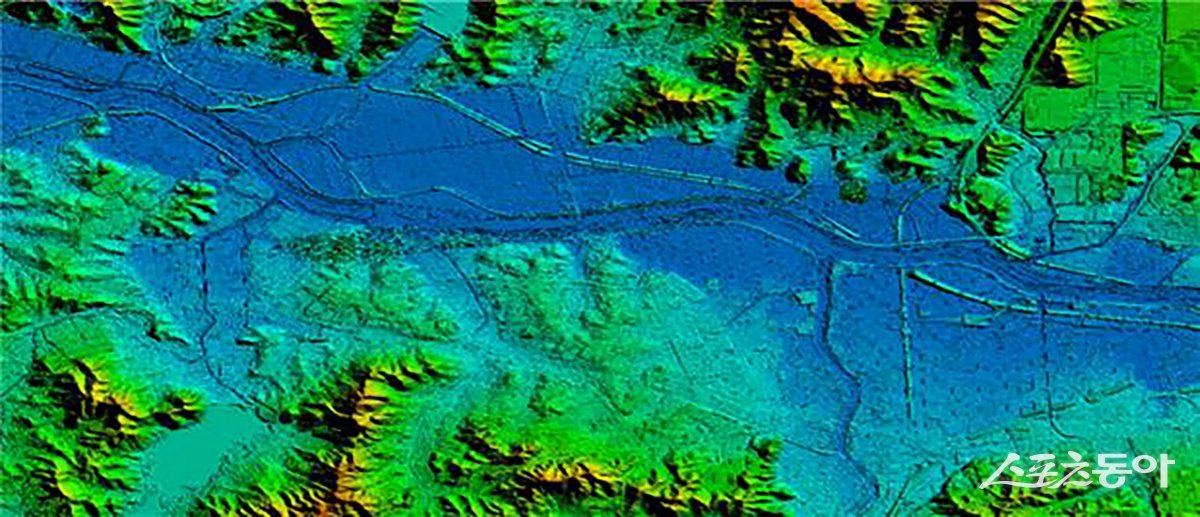
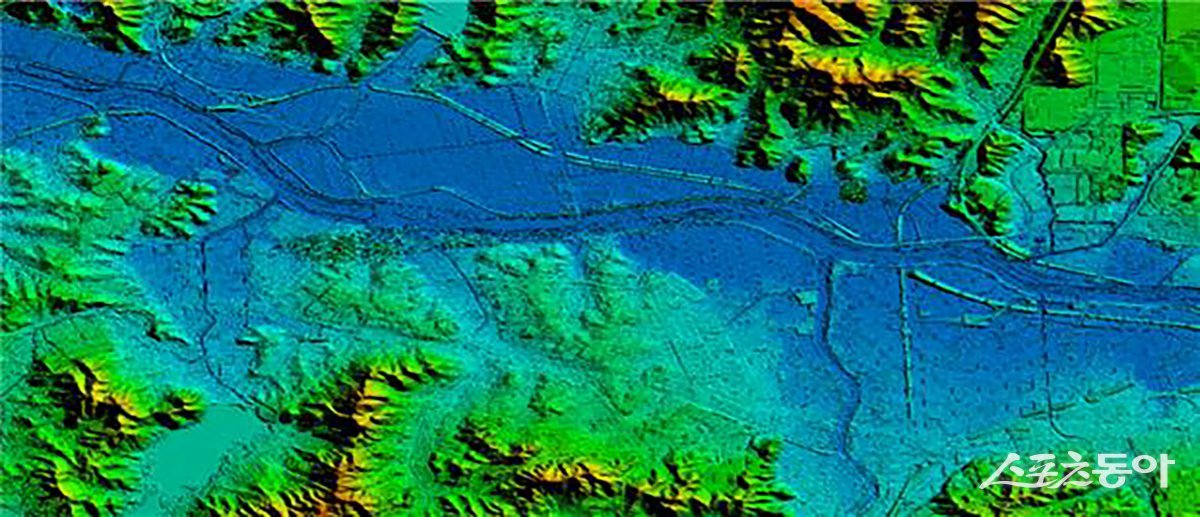
AI반도체과, 하천 지형도 예시. 사진제공ㅣ성남시
성남시(시장 신상진)가 국토교통부의 ‘고정밀 전자지도 구축사업’ 공모에 최종 선정돼 미래 모빌리티 산업 육성과 도시 안전성 강화를 위한 핵심 디지털 인프라를 본격적으로 구축한다고 23일 밝혔다.
이번 사업은 정밀 공간정보를 활용해 자율주행, 도심항공교통(UAM) 등 미래 교통수단 실증과 스마트시티 혁신 기반 마련을 목적으로 추진된다. 국비 11억원과 시비 11억원 등 총 22억원이 투입되며, 내년 2월부터 11월까지 사업이 진행된다.
성남시는 이번 사업을 통해 1cm 단위의 정밀 공간정보를 구축하고, 이를 기반으로 도시정책의 과학화와 도시 안전성 확보, 미래 모빌리티 기반 조성 및 공공 데이터 공유 활성화를 도모할 계획이다.
구체적으로는 2018년 이후 갱신되지 않은 기존 1/1,000 수치지형도와 정밀도로지도를 최신화하고, MMS(Mobile Mapping System), 항공 및 수심 라이다, 초분광영상 등 첨단 기술을 활용해 실세계와 동일한 3차원 공간정보를 구축한다.
특히 자율주행 및 UAM 실증을 위한 ‘HCMI 맵(Human·Computer·Machine Interaction Map)’을 도입해 도로·교통 요소를 정밀하게 반영하고, 다차원적 경로 관리가 가능한 데이터 체계를 마련할 예정이다.

시민 참여단이 22일 시청 모란관에서 열린 ‘성남시 스마트도시계획 리빙랩’ 1차 회의에 참여하고 있다. 사진제공ㅣ성남시
구축된 데이터는 하천관리, 생태 모니터링, 재난 대응체계 등 다양한 행정 분야에 폭넓게 활용될 전망이다.
성남시 관계자는 “첨단 공간정보 인프라는 시민 중심의 스마트 행정 실현은 물론, 데이터 기반 정책 결정과 도시 문제 해결 역량을 높이는 핵심 자산이 될 것”이라고 밝혔다.
성남ㅣ고성철 스포츠동아 기자 localkb@donga.com
고성철
Copyright © 스포츠동아. All rights reserved. 무단 전재, 재배포 및 AI학습 이용 금지
공유하기












![‘불법 의료 시술 의혹’ 박나래, 오늘(6일) ‘놀토’ 정상 방송 [공식]](https://dimg.donga.com/a/232/174/95/1/wps/SPORTS/IMAGE/2025/12/06/132913424.1.jpg)

![조진웅 은퇴…“배우의 길 마침표” 불명예 퇴장 [종합]](https://dimg.donga.com/a/232/174/95/1/wps/SPORTS/IMAGE/2025/12/06/132913708.1.jpg)
![조진웅, 은퇴 선언…“질책 겸허히 수용, 배우 마침표” [전문]](https://dimg.donga.com/a/232/174/95/1/wps/SPORTS/IMAGE/2025/12/06/132913653.1.jpg)

![블랙핑크 리사, 뭘 입은 거야…파격 노출 착시 [DA★]](https://dimg.donga.com/a/232/174/95/1/wps/SPORTS/IMAGE/2025/12/05/132906328.1.jpg)
![올데프 애니, 끈 하나로 겨우 버텨…과감+세련 패션 [DA★]](https://dimg.donga.com/a/232/174/95/1/wps/SPORTS/IMAGE/2025/12/04/132899350.1.jpg)














![유승옥, 확실한 애플힙+핫바디…베이글美 여전 [DA★]](https://dimg.donga.com/a/72/72/95/1/wps/SPORTS/IMAGE/2025/12/05/132909885.1.jpg)

![유승옥, 확실한 애플힙+핫바디…베이글美 여전 [DA★]](https://dimg.donga.com/a/140/140/95/1/wps/SPORTS/IMAGE/2025/12/05/132909885.1.jpg)
![맹승지, 끈 끊어질까 걱정…넥타이 위치 아찔해 [DA★]](https://dimg.donga.com/a/140/140/95/1/wps/SPORTS/IMAGE/2025/12/05/132908504.1.jpg)






















![김남주 초호화 대저택 민낯 “쥐·바퀴벌레와 함께 살아” [종합]](https://dimg.donga.com/a/110/73/95/1/wps/SPORTS/IMAGE/2025/05/27/131690415.1.jpg)
![이정진 “사기 등 10억↑ 날려…건대 근처 전세 살아” (신랑수업)[TV종합]](https://dimg.donga.com/a/110/73/95/1/wps/SPORTS/IMAGE/2025/05/22/131661618.1.jpg)


댓글 0