
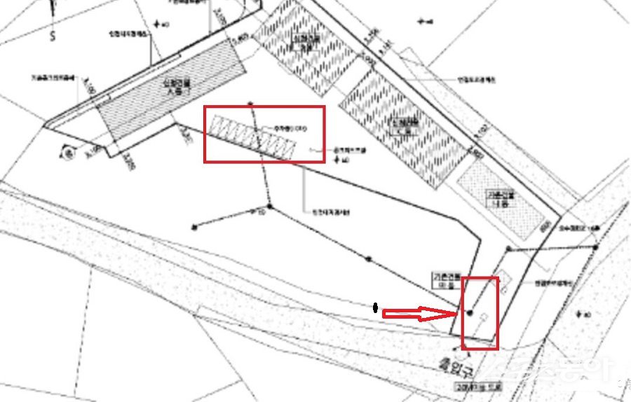
경기도 화성시 정남면 문학리 721-37번지 일대에서 폐아스콘을 생산하는 H아스콘사(건축물 현황도). 사진제공|공익 제보자
경기도 화성시 정남면 문학리 721-37번지 일대에서 폐아스콘을 생산하는 H아스콘사가 건축물 허가와 실제 사용 현황이 다르다는 의혹에 휘말렸다.
해당 업체는 2018년 허가를 받아 자원순환 관련 시설(A동·B동·C동)을 사용승인 받았다. 부지 규모는 4,130㎡에 달한다. 그러나 당시 허가 도면에 명시된 진입로와 주차장이 실제 현장에서는 변경되거나 주차장이 야적장으로 사용되는 정황이 확인됐다는 제보가 나왔다.
특히 같은 업체 명의로 운영되는 문학리 721-14번지(부지 3,446㎡) 역시 문제가 제기됐다. 허가 당시 ‘야적장’으로 기재되지 않았음에도 현재는 주차시설 건축물과 함께 야적장으로 쓰이고 있다는 의혹이다.

특히 같은 업체 명의로 운영되는 문학리 721-14번지 공장(건축물 현황도). 사진제공|공익 제보자
화성시 관계자는 “허가 당시 도면과 실제 사용 상태가 다르다면 불법에 해당할 수 있다”면서도 “정확한 판단은 현장 확인이 필요하다”고 말했다.
익명의 제보자는 “허가 도면과 실제 현장이 확연히 다르다”며 “공무원에게 허위로 허가받아 시간이 지나자 불법한 것 아니냐”고 주장했다.
전문가들은 만약 주차시설이 다른 용도로 사용되거나 진입로가 허가 내용과 다르다면 건축법 위반 및 허가 취소 사유가 될 수 있다고 지적한다.

경기도 화성시 정남면 문학리 721-37, 14번지 일대에서 폐아스콘을 생산하는 H아스콘사(항측). 사진제공|다음지도
더 나아가 “허가 당시 제출한 서류 내용이 실제와 달랐다면 단순 사문서가 아닌 공문서 허위 작성에 해당할 수 있다는 대법원 판례도 있다”며, “공공기관을 상대로 한 허위 서류 제출은 중대한 범죄”라고 강조했다.
이번 논란에 대해 한 전문가는 “이는 단순 업체 문제를 넘어 행정 당국의 허점이 드러난 사례”라며 “감사기관이나 수사기관의 철저한 조사와 공개가 필요하다”고 지적했다.
한편 H아스콘사 측은 지난 9월 4일 제기된 진입로 및 주차시설 불법 사용 의혹에 대해 현재까지 공식 입장을 밝히지 않고 있다.
경기|장관섭 기자 localcb@donga.com
장관섭 스포츠동아 기자
Copyright © 스포츠동아. All rights reserved. 무단 전재, 재배포 및 AI학습 이용 금지
공유하기














![올데프 애니, 끈 하나로 겨우 버텨…과감+세련 패션 [DA★]](https://dimg.donga.com/a/232/174/95/1/wps/SPORTS/IMAGE/2025/12/04/132899350.1.jpg)




![‘불법 의료 시술 의혹’ 박나래, 오늘(6일) ‘놀토’ 정상 방송 [공식]](https://dimg.donga.com/a/232/174/95/1/wps/SPORTS/IMAGE/2025/12/06/132913424.1.jpg)
![조진웅, 은퇴 선언…“질책 겸허히 수용, 배우 마침표” [전문]](https://dimg.donga.com/a/232/174/95/1/wps/SPORTS/IMAGE/2025/12/06/132913653.1.jpg)




![조진웅 은퇴…“배우의 길 마침표” 불명예 퇴장 [종합]](https://dimg.donga.com/a/232/174/95/1/wps/SPORTS/IMAGE/2025/12/06/132913708.1.jpg)

![블랙핑크 리사, 뭘 입은 거야…파격 노출 착시 [DA★]](https://dimg.donga.com/a/232/174/95/1/wps/SPORTS/IMAGE/2025/12/05/132906328.1.jpg)


![방탄소년단 정국-에스파 윈터 열애설, 커플 타투에 커플 네일?! (종합)[DA:이슈]](https://dimg.donga.com/a/72/72/95/1/wps/SPORTS/IMAGE/2025/12/05/132907619.1.jpg)

![조진웅, 소년범 전과 의혹에 “확인 후 입장 밝힐 것” [공식입장]](https://dimg.donga.com/a/72/72/95/1/wps/SPORTS/IMAGE/2025/12/05/132907713.1.jpg)


![유승옥, 확실한 애플힙+핫바디…베이글美 여전 [DA★]](https://dimg.donga.com/a/140/140/95/1/wps/SPORTS/IMAGE/2025/12/05/132909885.1.jpg)
![맹승지, 끈 끊어질까 걱정…넥타이 위치 아찔해 [DA★]](https://dimg.donga.com/a/140/140/95/1/wps/SPORTS/IMAGE/2025/12/05/132908504.1.jpg)




![전현무, 결별 심경 “광고 찍기 전날 헤어져” (전현무계획3)[TV종합]](https://dimg.donga.com/a/72/72/95/1/wps/SPORTS/IMAGE/2025/12/06/132913069.1.jpg)


















![김남주 초호화 대저택 민낯 “쥐·바퀴벌레와 함께 살아” [종합]](https://dimg.donga.com/a/110/73/95/1/wps/SPORTS/IMAGE/2025/05/27/131690415.1.jpg)
![이정진 “사기 등 10억↑ 날려…건대 근처 전세 살아” (신랑수업)[TV종합]](https://dimg.donga.com/a/110/73/95/1/wps/SPORTS/IMAGE/2025/05/22/131661618.1.jpg)


댓글 0