
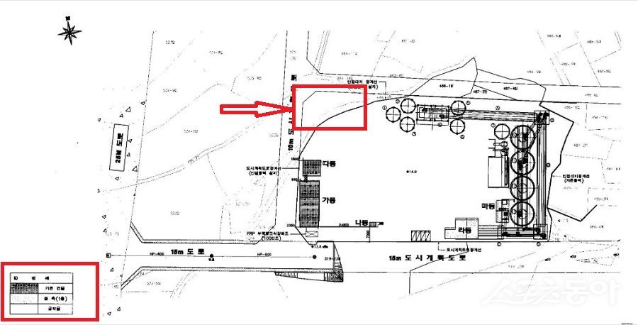
인천 남동구 고잔동 486번지(배치도). 사진제공|공익제보자
인천 남동구 고잔동 486번지에서 공장을 운영 중인 U기업이 공작물 설치 누락 됐다는 의혹이 제기됐다.
제보자는 “허가 당시 공무원에게 제출한 도면과 실제 시공된 구조가 다르고, 공작물 설치 등 별도 허가 없이 진행된 부분이 있다”고 주장했다.

인천 남동구 고잔동 486번지 항측(2008년). 사진제공|다음지도
한 도시계획 전문가는 “허가 당시 공작물 설치가 누락 됐다면 이는 명백한 행정착오 또는 위법 소지가 있다”고 밝혔다.
이에 대해 남동구청 관계자는 “절차상의 문제 여부에 대해 다시 한번 면밀히 살펴보겠다”며, “관련 자료 검토 후 공식 입장을 밝히겠다”고 전했다.

인천 남동구 고잔동 486번지 항측(최근). 사진제공|다음지도
한편 U기업 관계자는 “허가 당시 모든 서류를 관할 구청에 제출했고, 그에 따라 정식으로 허가를 받은 것”이라며, “해당 지자체가 승인한 사안이므로 문제가 될 것이 없다”고 입장을 밝혔다.
이번 의혹이 사실로 드러날 경우, 해당 업체는 물론 당시 허가를 담당했던 공무원에 대한 책임 논란도 불거질 전망이다. 실제와 다른 도면 제출 및 승인, 공작물 설치 누락 등 절차상 하자가 확인될 경우, 감사 또는 사법적 조사로 이어질 가능성도 배제할 수 없다.
인천|장관섭 기자 localcb@donga.com
장관섭 스포츠동아 기자
Copyright © 스포츠동아. All rights reserved. 무단 전재, 재배포 및 AI학습 이용 금지
공유하기

















![조진웅 은퇴…“배우의 길 마침표” 불명예 퇴장 [종합]](https://dimg.donga.com/a/232/174/95/1/wps/SPORTS/IMAGE/2025/12/06/132913708.1.jpg)



![블랙핑크 리사, 뭘 입은 거야…파격 노출 착시 [DA★]](https://dimg.donga.com/a/232/174/95/1/wps/SPORTS/IMAGE/2025/12/05/132906328.1.jpg)

![조진웅, 은퇴 선언…“질책 겸허히 수용, 배우 마침표” [전문]](https://dimg.donga.com/a/232/174/95/1/wps/SPORTS/IMAGE/2025/12/06/132913653.1.jpg)

![‘불법 의료 시술 의혹’ 박나래, 오늘(6일) ‘놀토’ 정상 방송 [공식]](https://dimg.donga.com/a/232/174/95/1/wps/SPORTS/IMAGE/2025/12/06/132913424.1.jpg)
![올데프 애니, 끈 하나로 겨우 버텨…과감+세련 패션 [DA★]](https://dimg.donga.com/a/232/174/95/1/wps/SPORTS/IMAGE/2025/12/04/132899350.1.jpg)



![방탄소년단 정국-에스파 윈터 열애설, 커플 타투에 커플 네일?! (종합)[DA:이슈]](https://dimg.donga.com/a/72/72/95/1/wps/SPORTS/IMAGE/2025/12/05/132907619.1.jpg)

![조진웅, 소년범 전과 의혹에 “확인 후 입장 밝힐 것” [공식입장]](https://dimg.donga.com/a/72/72/95/1/wps/SPORTS/IMAGE/2025/12/05/132907713.1.jpg)


![유승옥, 확실한 애플힙+핫바디…베이글美 여전 [DA★]](https://dimg.donga.com/a/140/140/95/1/wps/SPORTS/IMAGE/2025/12/05/132909885.1.jpg)
![맹승지, 끈 끊어질까 걱정…넥타이 위치 아찔해 [DA★]](https://dimg.donga.com/a/140/140/95/1/wps/SPORTS/IMAGE/2025/12/05/132908504.1.jpg)























![김남주 초호화 대저택 민낯 “쥐·바퀴벌레와 함께 살아” [종합]](https://dimg.donga.com/a/110/73/95/1/wps/SPORTS/IMAGE/2025/05/27/131690415.1.jpg)
![이정진 “사기 등 10억↑ 날려…건대 근처 전세 살아” (신랑수업)[TV종합]](https://dimg.donga.com/a/110/73/95/1/wps/SPORTS/IMAGE/2025/05/22/131661618.1.jpg)


댓글 0